https://www.Livechennai.com
LiveChennai GRT Offer

WEATHER IN CHENNAI

Page   1 317318319320321 491 

Cyclone to hit Chennai - Its all rumors (TN Weatherman)

The low pressure in Bay of Bengal will intensify into a Depression. Whether it will move towards North Tamil Nadu coast is not clear. So please wait rather believing in rumors and media who have no clue what they are saying.

Posted On :03/Dec/2017 10:03:16 AM

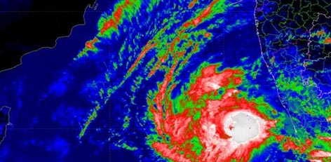
Very Severe Cyclonic Storm Ockhi over Lakshadweep area

The very severe cyclonic storm Ockhi over Lakshadweep area and adjoining Southeast Arabian Sea moved further west-northwestwards with a speed of 10 kmph during past 06 hours.

Posted On :02/Dec/2017 5:17:21 PM

Bengaluru braces for a pleasant weather as light rains may continue

Very severe cyclone Ockhi has been lashing many districts across South India. This weather system that brewed in the Andaman Sea rapidly emerged into a cyclone and then intensified into a severe cyclonic storm.

Posted On :02/Dec/2017 4:38:02 PM

Weather Update for Wipro Chennai Marathon (TN Weatherman)

Perfectly the date coincides with break in rains. So what will the weather be for the runners.

Posted On :02/Dec/2017 12:42:21 PM

Chennai rains to remain light, to intensify by Dec 5

The city of Chennai has recorded heavy rains on November 30 and December 1. These rains were due to the cyclone that intensified into a severe cyclonic storm and crossed Tamil Nadu and Kerala.

Posted On :02/Dec/2017 11:56:08 AM

Severe Cyclone Ockhi continues to strangle Lakshadweep with torrential rains

Season first Cyclonic Storm, Ockhi that has already throttled parts of Kerala and Tamil Nadu continues to unleash torrential rains over Lakshadweep.

Posted On :02/Dec/2017 11:33:04 AM

Cyclone Ockhi latest update (Dec 2)

Get all latest news & updates on Cyclone Ockhi here.

Posted On :02/Dec/2017 10:29:41 AM

Page   1 317318319320321 491